From Wikipedia, the free encyclopedia
Content deleted Content added
|
 |
|||
| Line 24: | Line 24: | ||
|
[[Category:Beetles described in 1858]] |
[[Category:Beetles described in 1858]] |
||
|
[[Category:Cephaloleia]] |
[[Category:Cephaloleia]] |
||
|
{{Cephaloleia-stub}} |
{{Cephaloleia-stub}} |
||
Latest revision as of 01:59, 16 November 2025
Species of beetle
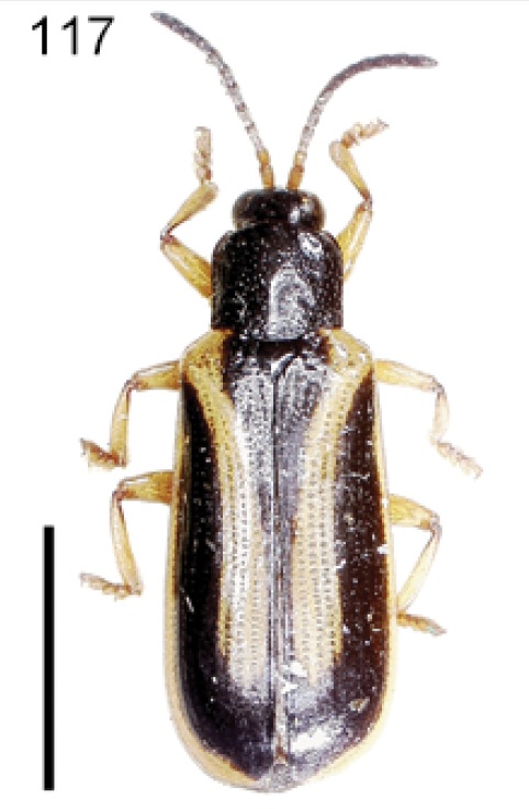
Cephaloleia deyrollei is a species of beetle of the family Chrysomelidae. It is found in Bolivia, Brazil (Bahia, Corcovado, Paraná, RÃo de Janeiro, Santa Catharina, São Paulo), Ecuador and French Guiana.[1]
Adults reach a length of about 5.8–7 mm. Adults are black, while the eyes are dark, and the antennomeres are all black or 1–4 yellowish and 5–11 dark. The elytron has a yellowish vitta and a yellowish lateral margin.
They have been recorded on Marantha species.[2]



